4 z 11 działek w SAG Zakole jeszcze dostępne!
Treść
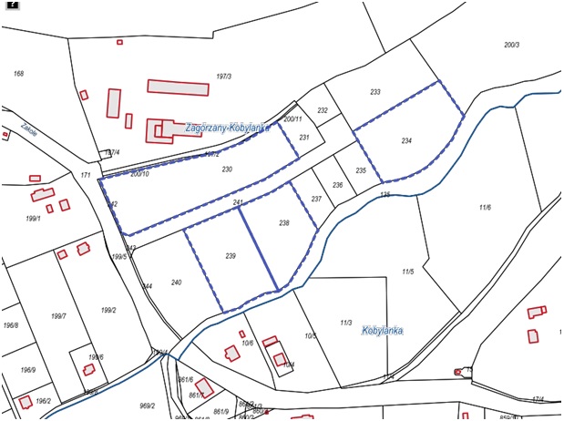
Burmistrz Miasta Gorlice ogłasza II przetargi ustne nieograniczone na sprzedaż niezabudowanych nieruchomości gruntowych, stanowiących własność Miasta Gorlice, położonych przy ul. Zakole w Gorlicach objętych Strefą Aktywności Gospodarczej. W wyniku pierwszych przetargów, które zakończyły się w październiku, Miasto Gorlice sprzedało 7 działek! Do dyspozycji inwestorów zostały jeszcze 4.
- Nieruchomość oznaczona działką nr 230 o pow. 1,0717 ha, obj. KW NS1G/000045065/2
Cena wywoławcza nieruchomości wynosi: 1 500 380,00 zł netto plus podatek VAT w wysokości 345 087,40 zł, obliczony według stawki 23%, co łącznie daje kwotę brutto 1 845 467,40 zł.
Wadium: 200 000,00 zł.
Termin i miejsce przetargu: Urząd Miejski, Rynek 2, sala 207 A, II piętro; 17.01.2024 r., godzina 9:00 - Nieruchomość oznaczona działką nr 234 o pow. 0,7194 ha, obj. KW NS1G/00045065/2
Cena wywoławcza nieruchomości wynosi 1 007 160,00 zł netto plus podatek VAT w wysokości 231 646,80 zł obliczony według stawki 23%, co łącznie daje kwotę brutto 1 238 806,80 zł.
Wadium: 180 000,00 zł.
Termin i miejsce przetargu: Urząd Miejski, Rynek 2, sala 207 A, II piętro; 17.01.2024 r., godzina 10:30 - Nieruchomość oznaczona działką nr 238 o pow. 0,5352 ha, obj. KW NS1G/00045065/2
Cena wywoławcza nieruchomości wynosi 749 280,00 zł netto plus podatek VAT w wysokości 172 334,40 zł obliczony według stawki 23%, co łącznie daje kwotę brutto 921 614,40 zł.
Wadium: 140 000,00 zł.
Termin i miejsce przetargu: Termin i miejsce przetargu: Urząd Miejski, Rynek 2, sala 207 A, II piętro; 17.01.2024 r., godzina 12:00 - Nieruchomość oznaczona działką nr 239 o pow. 0,6205 ha, obj. KW NS1G/00045065/2
Cena wywoławcza nieruchomości wynosi 868 700,00 zł netto plus podatek VAT w wysokości 199 801,00 zł obliczony według stawki 23%, co łącznie daje kwotę brutto 1 068 501,00 zł.
Wadium: 160 000,00 zł.
Termin i miejsce przetargu: Termin i miejsce przetargu: Urząd Miejski, Rynek 2, sala 207 A, II piętro; 17.01.2024 r., godzina 13:30
Pełną treść ogłoszenia o przetargach dostępna jest tutaj (doc., 207 kb).
Mapa projektowanych sieci dostępna jest tutaj (pdf, 2,3 mb)
Szczegółowe informacje o przetargach można uzyskać telefonicznie pod numerem: (18) 35-51-261 lub osobiście w Wydziale Gospodarki Komunalnej i Mienia Urzędu Miejskiego w Gorlicach, Plac Kościelny 2, segment B parter, pok. 12 B. Informacje na temat realizowanej inwestycji p.n. „Budowa Strefy Aktywności Gospodarczej przy ul. Zakole w Gorlicach” oraz planu zagospodarowania przestrzennego nieruchomości będących przedmiotem przetargów można uzyskać w Wydziale Inwestycji i Rozwoju Urzędu Miejskiego w Gorlicach Rynek 2, segment A (I piętro) pok. 109 i 113.
Przedsiębiorcy mogą liczyć na zwolnienia od podatku od nieruchomości na terenie Miasta Gorlice w ramach pomocy de minimis. Szczegóły w poniższych uchwałach:
- Uchwała Nr 588/L/2014 Rady Miasta Gorlice z dnia 30 października 2014 r. w sprawie zwolnień od podatku od nieruchomości na terenie Miasta Gorlice w ramach pomocy de minimis
- Uchwała Nr 212/XIX/2016 Rady Miasta Gorlice z dnia 31 marca 2016 r. w sprawie zwolnień od podatku od nieruchomości na terenie Miasta Gorlice w ramach pomocy de minimis


